In de boomgaard zijn veel nuttige insecten en mijten actief. Sommige kent bijna iedere fruitteler. Maar er zijn ook minder bekende soorten die belangrijk zijn bij het onderdrukken van plaaginsecten.
In dit artikel zetten we een aantal van deze minder bekende, maar waardevolle nuttigen in de boomgaard op een rij. We laten zien hoe u ze kunt herkennen en welke rol ze spelen in het natuurlijke evenwicht van de boomgaard.
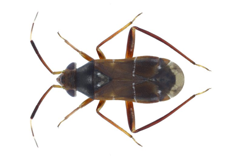
Deze wantsensoort vindt u in boomgaarden, op brandnetels, bomen en struiken. Ze zijn carnivoor en voeden zich met allerlei kleine insecten. De miersikkelwants is zowel overdag als ’s nachts actief. Zij hebben één generatie per jaar en leggen in het voorjaar eitjes af op plantenstengels en op stengels van grassen. Ze lijken op mieren, maar hebben een steeksnuit die krom staat als een sikkel.
Als we het over spinnen hebben, hebben we het over veel verschillende soorten. Dit zijn vogelspinnen (komkommerspin, gewoon visgraatje, driestreepspin), loopspinnen (gewone renspin, struikzakspin), wielwebspinnen (kruisspin) en springspinnen. In het vroege voorjaar, wanneer de meeste nuttige insecten nog in rust zijn, komen spinnen al tevoorschijn. De verschillende spinnensoorten spelen een rol in het onderdrukken van plagen. Er bestaan jachtspinnen en webspinnen, die elk op een andere manier aan voedsel komen. Spinnen eten verschillende geleedpotigen, zoals insecten. Wanneer de meeste nuttige insecten in het najaar weer in rust gaan, zijn de meeste spinnen nog actief. Spinnen kunnen daarom een mooie toevoeging zijn in een boomgaard.
Fluweelmijten zijn, zoals de naam suggereert, geen insecten maar mijten. Ze eten verschillende kleine insecten en de eieren van deze insecten. Fluweelmijten zijn te herkennen aan hun knalrode fluweelachtige haartjes en de lichaamsvorm van een teek met acht pootjes. Vroeg in het voorjaar zijn ze al te vinden als volwassen mijt op zonnige dagen. De nakomelingen vindt u in het voorjaar en in de zomer op plekken waar kleine insecten en mijten aanwezig zijn.
De meeste kortschildkevers zijn vrij agressieve jagers. Ze vreten verschillende soorten insecten en zijn voornamelijk overdag aanwezig, hoewel sommige soorten ook ’s nachts jagen. Ze zijn te vinden op en in de bodem van boomgaarden. Kortschildkevers zijn te herkennen aan het vergelijkbare uiterlijk met oorwormen, maar zij missen de tangen aan de achterkant van het lichaam. Meestal zijn deze kevers donker van kleur, maar er zijn ook feller gekleurde exemplaren te vinden.
Er zijn ongeveer vijftig soorten gaasvliegen in Nederland beschreven. Deze gaasvliegen lijken op elkaar, maar verschillen soms iets in uiterlijk. Hieronder staan een aantal afbeeldingen van verschillende gaasvlieg larven, te herkennen aan de kop met grote kaken.
De galmug Aphidoletes aphidimyza is een natuurlijke vijand van bladluizen. De larven van de galmug zijn ongeveer 3 mm lang en oranje van kleur. De galmuglarven zijn te vinden in een bladluiskolonie en zuigen hierbij bladluizen leeg via de ‘knieholte’. De galmug heeft twee generaties per jaar en overwintert als larve in de bodem. De galmug is actief vanaf 15°C.
De zwarte kniewants (Blepharidopterus angulatus), te herkennen aan de zwarte “knieën”, is een natuurlijke vijand van bladvlooien, spintmijten, kleine rupsen en bladluizen. De volwassen wants is ongeveer vijf millimeter groot, met een blauwgroene kleur en zwarte haartjes over het hele lichaam. De zwarte kniewants is van juni tot en met september aanwezig in boomgaarden. De wants heeft één generatie per jaar en overwintert als eitje. De zwarte kniewants kan tot zeventig spintmijten per dag eten.
De breedsprietwants (Heterotoma planicornis), te herkennen aan de harige antennen die in een ‘V’ vorm staan, is een natuurlijke vijand van bladluizen, spintmijten, kleine rupsen (mogelijk ook de eitjes) en bladvlooien. Ze zijn van juni tot en met oktober in boomgaarden te vinden en zijn ongeveer vijf millimeter groot.
De boomsikkelwants (Himacerus apterus) is een natuurlijke vijand van bladvlooien, bladluizen, kleine rupsen en spintmijten. Deze wantsensoort heeft één generatie per jaar en is van juli tot en met oktober in boomgaarden te vinden. De wants is ongeveer zeven millimeter groot en roodbruin van kleur. Daarnaast is hij te herkennen aan de gekromde steeksnuit waarmee hij prooien spietst.
De groenstippelblindwants (Malacocoris chlorizans) is een natuurlijke vijand van onder andere spintmijten en cicaden. De wants is te herkennen aan het groengeel gemarmerde uiterlijk en zijn ongeveer vier milimeter groot. De wants overwintert als eitje in het hout en heeft twee generaties per jaar.
De gewone mierwants (Pilophorus perplexus) is een natuurlijke vijand van bladluizen, spintmijten en andere kleine insecten. De volwassen wantsen zijn ongeveer 4,5 millimeter groot en lijken op mieren met witte bandjes. Ze zijn regelmatig te vinden tussen de mieren bij bladluiskolonies. Ze zijn in boomgaarden te vinden van juni tot en met augustus.
In Nederland zijn ruim duizend verschillende sluipwespsoorten bekend, waarvan een deel ook in boomgaarden actief is. De aanwezigheid van sluipwespen is op meerdere manieren te zien, waaronder parasitering van de gastheer. Sluipwespen leggen over het algemeen eitjes in of op de gastheer, waarna de larve van de sluipwesp de gastheer opeet.
Meer weten over de inzet van nuttigen in de boomgaard?
Alle rechten voorbehouden. Niets uit dit bericht mag worden verveelvoudigd, opgeslagen in een geautomatiseerd gegevensbestand en/of openbaar gemaakt in enige vorm of op welke wijze dan ook zonder voorafgaande schriftelijke toestemming van de uitgever.